Facial analysis in smile design goes far beyond placing veneers or choosing a bright shade. Instead, true smile design begins with a complete facial analysis. This clinical case from Sonrisa Italiana clearly shows how understanding the face as a whole allows us to create results that are not only aesthetic, but also functional and natural.
When a Previous Smile Design No Longer Works in Smile Design
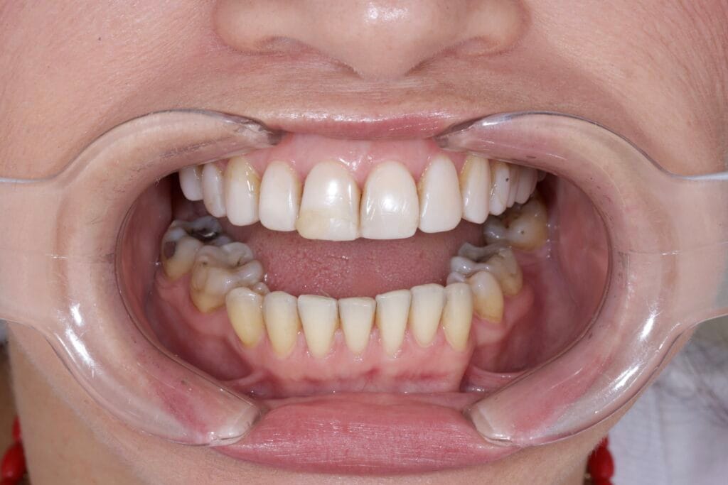
Our patient arrived with an existing resin smile design that no longer met her expectations. Over time, the restorations became completely disadapted and compromised both aesthetics and function. As a result, margins deteriorated, proportions lost balance, and the smile stopped integrating harmoniously with her facial features.
Additionally, we faced a significant challenge: a deviated dental midline. Therefore, this case required a precise and thoughtful approach guided by facial analysis in smile design.



Facial Analysis in Smile Design and the Importance of the Dental Midline
The dental midline is an imaginary vertical line that ideally divides the two upper central incisors symmetrically. In an ideal scenario, this line aligns with the facial midline, which passes through key anatomical landmarks such as the glabella, nose, philtrum, and chin.

However, when the dental midline shifts, even slightly, the smile may appear asymmetrical or artificial. Nevertheless, absolute coincidence between facial and dental midlines is not always necessary. Instead, what truly matters is how the midline relates to overall facial harmony through proper facial analysis in smile design.

How Facial Analysis in Smile Design Determines the Dental Midline?
Determining the midline requires a comprehensive facial study, not guesswork. For this reason, facial analysis in smile design plays a critical role. At Sonrisa Italiana, we carefully evaluate:
- Facial symmetry in frontal view
- Position of the nose, lips, and chin
- Smile dynamics and lip mobility
- Relationship between teeth, gingiva, and facial proportions
Through photographic analysis, digital planning, and direct patient evaluation, we can decide whether to correct, soften, or visually disguise a midline deviation.
Facial Analysis: The Foundation of Smile Design
Facial analysis is essential, especially in cases with midline discrepancies. Teeth should never be designed in isolation. Shape, length, width, and axial inclination must be adapted to the patient’s face, personality, and expectations.
A well-executed smile design respects facial proportions and enhances natural beauty without drawing attention to asymmetries.
Why Lithium Disilicate Was the Material of Choice
For this transformation, Dr. Paola Zabaleta selected lithium disilicate as the restorative material. This choice was based on its excellent optical properties, strength, and ability to mimic natural enamel.
The color, translucency, and morphology were fully customized, with the patient actively involved in every decision. This collaborative process ensures satisfaction and long-term success.



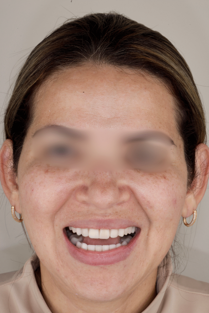
Personalized Design Leads to Natural Results
Every detail in this case was tailored to the patient. From tooth shape to shade selection, the final smile reflects her preferences while respecting her facial structure.
The result is a smile that looks effortless, balanced, and timeless.

Final Thoughts: Harmony Is Always the Goal
A beautiful smile is not about perfection. It is about harmony. Facial analysis allows us to understand where to correct, where to adapt, and where to let nature guide us.
In cases with a deviated midline, the true art of smile design lies in knowing how to integrate dentistry with facial aesthetics. This is where experience, planning, and personalized care make all the difference.
At Sonrisa Italiana, we believe that every smile should belong to the face it lives in.

